Nye legeredskaber på Støvringgårdvej 43, 8930 Randers NØ
Randers Kommune har meddelt landzonetilladelse til opførelse af nye legeredskaber bestående af et legetårn, klatrestativ, trampolin og gynger på skolens område beliggende Støvringgårdvej 43, 8930 Randers NØ.
Annoncering - Planlægning
Type
Landzonetilladelse
Område
8930 Randers NØ
Klagefrist
4. februar 2026
Offentliggjort
7. januar 2026
Tilladelsen er givet i henhold til planlovens § 35 og gælder på matr. nr. 23B Mellerup By, Mellerup beliggende Støvringgårdvej 43, 8930 Randers NØ.
I vurderingen er lagt vægt på, at det ansøgte kan tillades i overensstemmelse med de hensyn, der skal varetages ved administrationen af planlovens landzonebestemmelser.
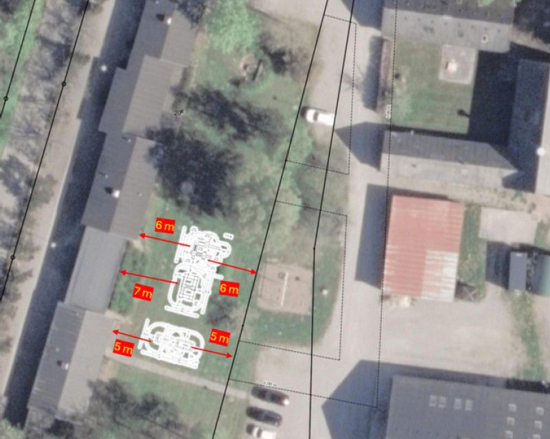
Luftfoto

Placeringen af nye legeredskaber

Placeringen af nye legeredskaber